Skip to content

Specialty Wellness
Let AI Help you Visualize

TRY NOW

VISIA Skin Analysis Consult

See what your skin is really doing—below the surface—and leave with a personalized plan for brighter, clearer, healthier skin.

Specialty Wellness

VISIA Skin Analysis Consult

See what your skin is really doing—below the surface—and leave with a personalized plan for brighter, clearer, healthier skin.

  • Reveals UV/sun damage, pigment, redness, pores, texture & wrinkles
  • High-resolution imaging + data-backed scoring
  • Custom treatment + skincare roadmap (in-office + at-home)
  • Great for acne, melasma, uneven tone, anti-aging, prevention
  • Appointment time: 15–30 minutes
Same-day recommendations available. Pricing shown at booking (or call/text for details).

What you’ll get

VISIA images + results review + your step-by-step skin plan.

Best for

Acne, hyperpigmentation, redness/rosacea, texture, fine lines.

Good to know

Come with a clean face if possible. We’ll prep you if needed.

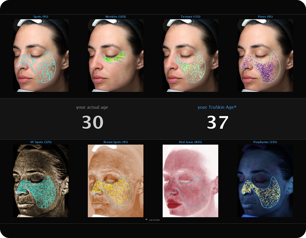
What is a VISIA Skin Analysis?

VISIA is an advanced imaging system that captures high-resolution photos and analyzes key skin health markers—some not visible to the naked eye. Your results help us identify what’s driving your concerns and choose the most effective in-office treatments and at-home skincare.

Spots & Pigmentation

Highlights brown spots and uneven tone so we can target discoloration.

Redness

Shows visible redness patterns to guide calming + vascular support.

Wrinkles

Maps fine lines and deeper wrinkles to plan collagen and smoothing treatments.

Texture

Evaluates roughness and surface irregularities to refine and brighten.

Pores

Measures pore visibility and congestion—helpful for acne-prone skin.

UV/Sun Damage

Reveals sun-related changes beneath the surface to support prevention + repair.

Why patients love it

Instead of guessing, you’ll have a baseline snapshot of your skin and a clear plan. It’s also a great way to track progress over time—especially after treatments like facials, peels, lasers, and skincare changes.

Personalized roadmap

We prioritize the top 1–3 issues and match them to the right services and products for your goals and budget.

Progress tracking

Repeat scans help measure improvements and refine your plan as your skin changes.

What to expect at your VISIA consult

Quick prep

We’ll cleanse/prepare your skin (or you can arrive makeup-free).

Imaging + analysis

We capture images and review your scores and key findings together.

Your plan

You leave with a customized treatment and skincare roadmap—step-by-step.

Consult options

VISIA Consult -$150

Includes VISIA scan + results review + customized treatment & skincare plan.Consult fee applies toward same-day treatment:

VISIA + Treatment Bundle

Pair your scan with a facial/peel/laser consult for a more comprehensive visit.

FAQ

Do I need to come without makeup?

It’s best to arrive makeup-free, but we can cleanse and prep your skin before imaging if needed.

How long does it take?

Most visits take about 15–30 minutes, depending on questions and plan depth.

Can VISIA diagnose skin cancer or medical conditions?

VISIA is not a diagnostic medical device. It helps assess cosmetic skin concerns and guide treatment planning. For medical concerns, we recommend a medical evaluation.

How often should I repeat the scan?

Many patients repeat every 3–6 months to track progress, especially after starting a new regimen or completing a treatment series.

Ready to see your skin clearly?

Book your VISIA Skin Analysis Consult and get a personalized plan designed for your skin goals.

Questions? Call/text us at 469-442-4442.